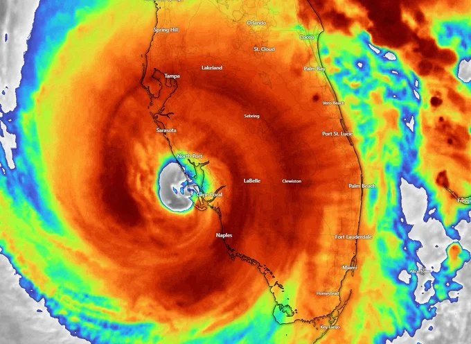
Hurricane Ian Makes Landfall
/Hurricane Ian made landfall near Ft. Myers on Wednesday afternoon, as I upload this, the slow-moving storm is just south of the FTVLive Bunker and headed this way.
The storm is not expected to be out of my area for another 12 hours or so. In other words, it’s going to be a long night and a long Thursday day.
I was watching some coverage and they were saying power outages could last weeks or months.
Months?!
My feeling is the biggest impact is going to be the rain. The storm is moving so slowly, we could up to 2 feet of rain before it passes.
At this point, it is just hoping that it is not as bad as what is being predicted.
Right now, while we have power, let’s do some news.
BTW- If you are looking for a camera that can stand up to a Hurricane and all that water, I can assure you that the new iPhone 14 Pro can do it. Last week, I took the new iPhone snorkeling in saltwater, with no case or protection. It worked like a charm.
Here’s some video I shot as a friend I met underwater.
