Changes to the News in B-More
/Hmmmm? Are they making the change to help the mothership?
Read More
Hmmmm? Are they making the change to help the mothership?
Read MoreWhile the media is trying to keep viewers informed on the killer hurricane.
This guy is attacking them….
Read MoreThere was a point yesterday that the people here in Florida could take a breath.
Many woke up Sunday morning to the news that Hurricane Dorian was expected to make a turn and move further East.
But then the 11AM update came in and it was back to preparing for the storm. The new path showed in coming even closer to Florida and now hurricane watches and warnings have gone up on the East coast, including here.
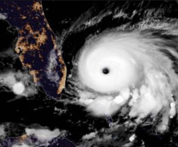
The storm has grown into a beast and it is now one of the most powerful hurricanes to ever form in the Atlantic with winds gusting over 200mph.
As for me, I’m set to fly out of Thursday to NAHJ in San Antonio.
It is questionable if that will happen.
Dorian should be just past us by the time my flight is expected to leave in the morning. But, it just depends on the time and if we have power or not?
You know it’s bad when Senator Rick Scott puts on his Navy hat.
For some reason, anytime bad weather comes to Florida, Scott thinks he needs his Navy hat. Why? It’s not like the wind is going to mess up his hair.
While Scott has his hat on, Trump is tweeting out thoughts for Alabama, which is not in any danger of Dorian and never has been:
Ugh! I really hope this storm makes a big turn to the East.
As for anyone in or near the path, please stay safe!
While Dorian has grown into one of the most powerful hurricanes in history, why is this Tegna Weatherman home eating cookies?
Read MoreLives are at stake here, but you would not know it reading the tweets from the people at this NBC O&O….
Read MoreThe Texas shooting became very scary for a couple of Anchors reporting on the mayhem….
Read More
Let’s be honest, the waiting is not easy.
I have lived in California, that has earthquakes. I have lived in Oklahoma, that has tornados. And I have lived in the Northeast, which has blizzards.
In Florida, we have hurricanes. Unlike earthquakes and tornados, with hurricanes, you get plenty of warning.
But, sometimes the waiting is the hardest part. You don’t sleep well. You can feel the stress level rise and no matter who you talk to, it is all about the storm.
Dorian sits in the Atlantic and continues to spin and grow stronger. The storm is on the edge of becoming a Category 5 and after that, there is no more categories. Cat 5 is the granddaddy of hurricanes and FTVLive is deep in the “cone of concern.”
Update: Dorian is now a Cat 5!!!!
You wait and you wonder? You wonder if this storm is headed your way and you wonder just how bad it’s going to be?
Right now, the projections have Dorian passing by the FTVLive World HQ to the East. That means as we are on the West side of the storm. Hurricanes spin counterclockwise and that will give Dorian a chance to pick up all that water from the ocean and dump it right on us.
Because she is moving so slow, it could mean historic flooding along with some very nasty wind. We may or may not take a direct hit, but it’s going to be bad. And waiting……is never easy.
Today, I will be doing some more preps, which include another trip back to the store. I bought a bunch of hurricane food, but I have eaten almost all of it.
Hey….you have to do something while you wait.
Twitter | Facebook | Contact Us ©2026 FTVLive LLC